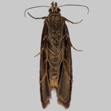
Barred Marble - Celypha striana
- BF
- 1063
- ABH
- 49.161
- Type
- Micro moth
- Status
- Common
- Family Name
- Tortricidae
- Sub Family Name
- Olethreutinae
- Forewing
- 7.5-10.5mm
- Flight Times
- May-Sept
- Foodplants
- Dandelion
- Discoverer
- [Denis & Schiffermüller]
- Discovery Year
- 1775
Stats
Filter years
Total caught: 465
| Year | Jan | Feb | Mar | Apr | May | Jun | July | Aug | Sept | Oct | Nov | Dec |
|---|---|---|---|---|---|---|---|---|---|---|---|---|
| 2011 | 0 | 0 | 0 | 0 | 0 | 0 | 0 | 1 | 0 | 0 | 0 | 0 |
| 2012 | 0 | 0 | 0 | 0 | 0 | 4 | 10 | 2 | 0 | 0 | 0 | 0 |
| 2013 | 0 | 0 | 0 | 0 | 0 | 3 | 31 | 4 | 6 | 0 | 0 | 0 |
| 2014 | 0 | 0 | 0 | 0 | 1 | 12 | 12 | 7 | 11 | 0 | 0 | 0 |
| 2015 | 0 | 0 | 0 | 0 | 0 | 6 | 19 | 7 | 1 | 0 | 0 | 0 |
| 2016 | 0 | 0 | 0 | 0 | 0 | 7 | 17 | 4 | 0 | 0 | 0 | 0 |
| 2017 | 0 | 0 | 0 | 0 | 4 | 6 | 6 | 0 | 0 | 0 | 0 | 0 |
| 2018 | 0 | 0 | 0 | 0 | 0 | 4 | 4 | 2 | 1 | 0 | 0 | 0 |
| 2019 | 0 | 0 | 0 | 0 | 2 | 7 | 3 | 1 | 0 | 0 | 0 | 0 |
| 2020 | 0 | 0 | 0 | 0 | 4 | 24 | 7 | 3 | 1 | 0 | 0 | 0 |
| 2021 | 0 | 0 | 0 | 0 | 0 | 14 | 24 | 4 | 1 | 0 | 0 | 0 |
| 2022 | 0 | 0 | 0 | 0 | 0 | 8 | 15 | 5 | 2 | 0 | 0 | 0 |
| 2023 | 0 | 0 | 0 | 0 | 0 | 33 | 23 | 6 | 1 | 0 | 0 | 0 |
| 2024 | 0 | 0 | 0 | 0 | 3 | 24 | 8 | 0 | 1 | 0 | 0 | 0 |
| 2025 | 0 | 0 | 0 | 0 | 0 | 33 | 11 | 5 | 0 | 0 | 0 | 0 |
| 2026 | 0 | 0 | 0 | 0 | 0 | 0 | 0 | 0 | 0 | 0 | 0 | 0 |
| Total | 0 | 0 | 0 | 0 | 14 | 185 | 190 | 51 | 25 | 0 | 0 | 0 |