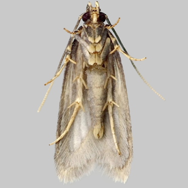
Yellowneck agg. - Oegoconia agg.
- BF
- 0871x
- ABH
- 27.003x
- Type
- Micro moth
- Status
- Not Applicable
- Previous Name
- Obscure agg.
- Family Name
- Autostichidae
- Flight Times
- Aug
- Foodplants
- Decaying vegetable matter
- Comments
- Species of Oegoconia can only be reliably identified by genitalic examination.
Stats
Filter years
Total caught: 279
| Year | Jan | Feb | Mar | Apr | May | Jun | July | Aug | Sept | Oct | Nov | Dec |
|---|---|---|---|---|---|---|---|---|---|---|---|---|
| 2011 | 0 | 0 | 0 | 0 | 0 | 0 | 0 | 0 | 0 | 0 | 0 | 0 |
| 2012 | 0 | 0 | 0 | 0 | 0 | 0 | 6 | 2 | 0 | 0 | 0 | 0 |
| 2013 | 0 | 0 | 0 | 0 | 0 | 0 | 12 | 12 | 0 | 0 | 0 | 0 |
| 2014 | 0 | 0 | 0 | 0 | 0 | 1 | 2 | 4 | 0 | 0 | 0 | 0 |
| 2015 | 0 | 0 | 0 | 0 | 0 | 0 | 2 | 3 | 0 | 0 | 0 | 0 |
| 2016 | 0 | 0 | 0 | 0 | 0 | 1 | 10 | 3 | 0 | 0 | 0 | 0 |
| 2017 | 0 | 0 | 0 | 0 | 0 | 0 | 19 | 1 | 0 | 0 | 0 | 0 |
| 2018 | 0 | 0 | 0 | 0 | 0 | 1 | 5 | 1 | 0 | 0 | 0 | 0 |
| 2019 | 0 | 0 | 0 | 0 | 0 | 0 | 13 | 6 | 0 | 0 | 0 | 0 |
| 2020 | 0 | 0 | 0 | 0 | 0 | 3 | 9 | 7 | 1 | 0 | 0 | 0 |
| 2021 | 0 | 0 | 0 | 0 | 0 | 1 | 13 | 13 | 0 | 0 | 0 | 0 |
| 2022 | 0 | 0 | 0 | 0 | 0 | 2 | 23 | 3 | 0 | 1 | 0 | 0 |
| 2023 | 0 | 0 | 0 | 0 | 0 | 5 | 10 | 3 | 3 | 0 | 0 | 0 |
| 2024 | 0 | 0 | 0 | 0 | 0 | 2 | 8 | 1 | 2 | 1 | 0 | 0 |
| 2025 | 0 | 0 | 0 | 0 | 0 | 5 | 23 | 30 | 3 | 3 | 0 | 0 |
| 2026 | 0 | 0 | 0 | 0 | 0 | 0 | 0 | 0 | 0 | 0 | 0 | 0 |
| Total | 0 | 0 | 0 | 0 | 0 | 21 | 155 | 89 | 9 | 5 | 0 | 0 |